A vascsoport minden tagjával próbálkoztunk; a vasfák hamar rozsdásodtak, ráadásul törékenyek is voltak, így inkább a kobalt- és nikkelfákat vizsgáltuk. A kobaltfák kicsit keményebbek voltak, így ezek lettek a "fotómodelljeink".
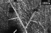
Egész alacsony koncentrációjú oldatból (1 mM/l fémsó-koncentráció) nem nagyon volt fémleválás, bár hosszú idô után vékony kobaltbevonat keletkezett a katódként használt nikkeltû hegyén. Nagyobb koncentrációnál (10 mM/l) már "bajuszkák nôttek; ezekrôl nagyobb nagyításban kiderült, hogy szabályos dendritek.
![]() |
![]() |
| A nikkeltû teteje a kép alján látható, azon nôtt ki 20 perc alatt a két kobalt bajusz. A bajuszról nagyobb nagyításban már jól látszik, hogy dendrit jellegû. | |
![]() |
![]() |
| Egy óra növesztési idô után a dendritek nagyobbak lettek, és az ágaik már nem annyira kristályszerûek, hanem kissé gömbölydedek. | |
Tovább növelve a koncentrációt, a leválás jellege kezdett megváltozni. 100 mM/l koncentrációnál rövid növesztési idônél a leválás még dendrites volt, de hosszabb idôknél már erôsen deformálódott. Tovább növelve a koncentrációt (500 mM/l) még drasztikusabb változásokat tapasztalunk - a fémfák megjelenését.
![]() |
![]() |
| 2 perces növesztési idônél már megjelentek a fajellegû alakzatok (balra) . A fák ágai kezdetben sima tûk (jobbra). | |
![]() |
![]() |
![]() |
| Hosszabb idôknél az ágak szerkezete megváltozott. 5 percnél még tûszerûek voltak, de már nem simák (balra), 20 percnél már az ágak végein "virágok" jelentek meg (középen), míg 1 óra után már az egész ág "lombos" lett (jobbra). | ||
1M/l koncentrációnál a fák egyre ágas-bogasabbak lettek. 2 perc növesztési idônél még jól látható az ágak tûjellege (bal kép), de 5 percnél (középsô és a jobb oldali kép) már csak az ágak legvégén fedezhetôk fel a tûk.
![]() |
![]() |
![]() |
Hosszabb növesztési idô esetén (20 perc) pedig már a lombos fák birodalmába értünk.
![]() |
![]() |
![]() |
![]() |
20 perces növesztés után igen szép, pár mm nagyságú bonsai-t kaptunk (elsô kép). Jól látható a sima felületû nikkeltû, amire az egész alakzat ránôtt (elsô és harmadik kép alja). Középen mintha gömbökbôl épült volna fel a fa (harmadik kép), míg a széleken absztrakt ágak nôttek (második és negyedik kép). | |
Ha a koncentráció vagy a növesztési idô még nagyobb, akkor a fák egyre robosztusabbá vállnak. Az eddig kapott legnagyobb fák kb. 2 cm átmérójûek, de ezeknél már igen nagy az esélye annak, hogy az ágakat a saját súlyuk letöri.
..... szóval a kobaltfák sem nônek az égig.